Description
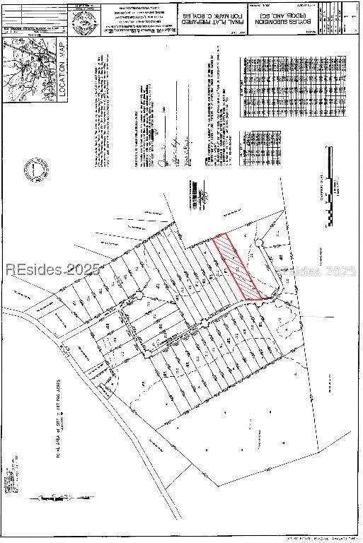
Looking for land that gives you freedom and flexibility? This 3.86-acre property in Ridgeland offers the best of both worlds mostly cleared and ready for your plans, with just enough wooded area for privacy, shade, or a little adventure. The property already has a well and access to electric utilities in place, and while the septic tank will need replacing, there was a manufactured home previously hooked upmaking future installation more straightforward. Whether you're dreaming of a custom home, a manufactured home, or creating your own mini homestead, this land is ready for it. And yes, you can have your cake and eat it too. The HOA is just $100/year and does NOT restrict manufactured homes or even backyard chickens. It's your land use it how you want. Don't miss this rare opportunity to own usable acreage with existing utilities in place and the freedom to build your way. When going to see the property, the land is located to the right of the manufactured homes with the pool and basketball goal.
-
0BEDS
-
3.86ACRES
-
0BATHS
-
01/2 BATHS
School Ratings & Info
Description
Looking for land that gives you freedom and flexibility? This 3.86-acre property in Ridgeland offers the best of both worlds mostly cleared and ready for your plans, with just enough wooded area for privacy, shade, or a little adventure. The property already has a well and access to electric utilities in place, and while the septic tank will need replacing, there was a manufactured home previously hooked upmaking future installation more straightforward. Whether you're dreaming of a custom home, a manufactured home, or creating your own mini homestead, this land is ready for it. And yes, you can have your cake and eat it too. The HOA is just $100/year and does NOT restrict manufactured homes or even backyard chickens. It's your land use it how you want. Don't miss this rare opportunity to own usable acreage with existing utilities in place and the freedom to build your way. When going to see the property, the land is located to the right of the manufactured homes with the pool and basketball goal.
We do not attempt to independently verify the currency, completeness, accuracy or authenticity of the data contained herein. All area measurements and calculations are approximate and should be independently verified. Data may be subject to transcription and transmission errors. Accordingly, the data is provided on an “as is” “as available” basis only and may not reflect all real estate activity in the market”. © 2025 REsides, Inc. All rights reserved. Certain information contained herein is derived from information, which is the licensed property of, and copyrighted by, REsides, Inc. Data last updated 2025-11-17T16:58:04.78.